Adresse
3 boulevard des Capelles 31830 Plaisance du Touch
Tél : 05.61.07.37.97
Mail : veterinairelabbe@gmail.com
Adresse
3 boulevard des Capelles 31830 Plaisance du Touch
Tél : 05.61.07.37.97
Mail : veterinairelabbe@gmail.com

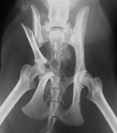
Les fractures du bassin sont des lésions complexes et graves, souvent résultant de traumatismes à haute énergie, tels que des accidents de la voie publique ou des chutes de grande hauteur. Elles nécessitent une prise en charge rapide et une évaluation précise pour optimiser la récupération fonctionnelle des patients et réduire les risques de complications. Parmi ces fractures, les disjonctions sacro-iliaques occupent une place particulière en raison de leur impact sur la stabilité de l’anneau pelvien et les défis qu’elles posent en termes de diagnostic et de traitement.
La disjonction sacro-iliaque est une lésion caractérisée par la séparation de l’articulation sacro-iliaque, un point clé de l’articulation entre le bassin et la colonne vertébrale. Elle peut survenir isolément ou en association avec d’autres fractures du bassin. Cette lésion entraîne une instabilité majeure du bassin, ce qui peut compromettre la fonction locomotrice du patient et causer des douleurs intenses. L’instabilité de l’anneau pelvien nécessite un traitement précis pour restaurer l’alignement anatomique et la stabilité, afin de prévenir les complications comme les douleurs chroniques, les troubles neurologiques ou une inégalité de longueur des membres inférieurs.
La disjonction sacro-iliaque pose un défi diagnostic important en raison de sa complexité anatomique. L’évaluation clinique seule ne suffit souvent pas à en déterminer la gravité et les implications. Les techniques d’imagerie jouent donc un rôle essentiel dans le diagnostic et le suivi de ces fractures.
L’imagerie médicale a considérablement évolué ces dernières années, permettant une meilleure visualisation des structures anatomiques complexes. Parmi les outils les plus avancés, la reconstruction en trois dimensions (3D) offre une compréhension détaillée de l’anatomie et des déplacements osseux, indispensable pour évaluer la sévérité des disjonctions sacro-iliaques.
Grâce à l’imagerie 3D, il est possible de modéliser avec précision les fractures et les disjonctions, permettant aux chirurgiens de planifier l’intervention chirurgicale de manière optimale. L’imagerie 3D offre plusieurs avantages :
À la Clinique La Bonne Patte, nous disposons de la technologie d’imagerie 3D, ce qui nous permet de prendre en charge les fractures du bassin, y compris les disjonctions sacro-iliaques les plus complexes. Cet équipement de pointe est un atout majeur pour nos équipes chirurgicales, offrant une précision inégalée dans le diagnostic et le traitement des fractures.
Notre approche repose sur une équipe multidisciplinaire alliant radiologues, chirurgiens et rééducateurs pour offrir une prise en charge complète aux patients. Grâce à l’imagerie 3D, nous sommes capables de réaliser des interventions minimales invasives avec des résultats fonctionnels optimisés. Cette technologie réduit également le temps opératoire et les complications associées, offrant ainsi aux patients un retour plus rapide à une vie active.
En conclusion, les disjonctions sacro-iliaques sont des fractures graves nécessitant une prise en charge experte et un diagnostic précis. L’imagerie 3D s’est imposée comme un outil indispensable pour la planification chirurgicale et le suivi de ces lésions complexes, offrant des perspectives de traitement améliorées. La Clinique La Bonne Patte, équipée de cette technologie avancée, est en mesure de traiter les cas les plus complexes, assurant aux patients une qualité de soins optimale et une récupération efficace.